40 + Acres Organic Farm Ground

8306 Homedale, Klamath Falls, OR

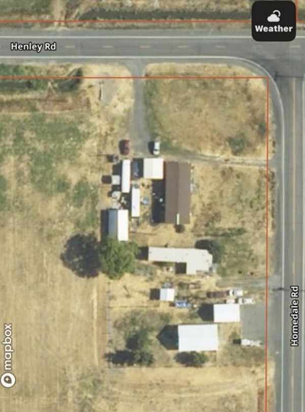
Investment opportunity in Klamath Falls OR! Income producing 40 + acres of Organic Farmland & 2 Rental homes near Henley Schools. Residential Rental information: 2 BR, 1 Bath house is 912 sf & currently rented for $1250 per/mo. It has a mini split heat/AC, detached 1 car garage and fully fenced. 3 BR, 2 Bath 1980 MFH is 1512 sf & vacant now, last rented for $1650 p/mo. It features a split floor plan, back porch, electric F/A heat, some updated flooring, walk in shower & closet and a carport. Additionally, seller is collecting space rent of $300 p/mo for a MFH not owned by the seller. Farmland Rental Information: 32 farmable acres, Certified Organic, KID irrigation, 4 Wheel lines, 2 pumps, each 15hp. Leased out for the 2026 growing season, crops not included. Zoned EFU-C. Separate meters. Large, green shed not part of sale, can be purchased outside of escrow. Photos of the 2 BR, 1 Bath were taken prior to move-in. Excludes shed. Ask your agent for more details and an appt! 42.89 Acres  MLS# 220212731  $475,000

More Pictures

For more information contact Carla

Cell (541) 891-8556

carla.yancey@fnrhomes.com

Office (541) 884-1717

Back to Ranches

---------

Back to Residential

 

The information contained herein has been obtained through sources deemed reliable by Oregon Ranch Land, but cannot be guaranteed for its accuracy. We recommend to the buyer that any information, which is of special interest, should be obtained through independent verification. ALL MEASUREMENTS ARE APPROXIMATE

©.Copyright 2002-2024 Oregon Ranch Land

 

Pictures

Back to Listing